Stočené tachometry

Stočené tachometry

Nový příspěvekod tdiracing » 19 dub 2012, 00:03

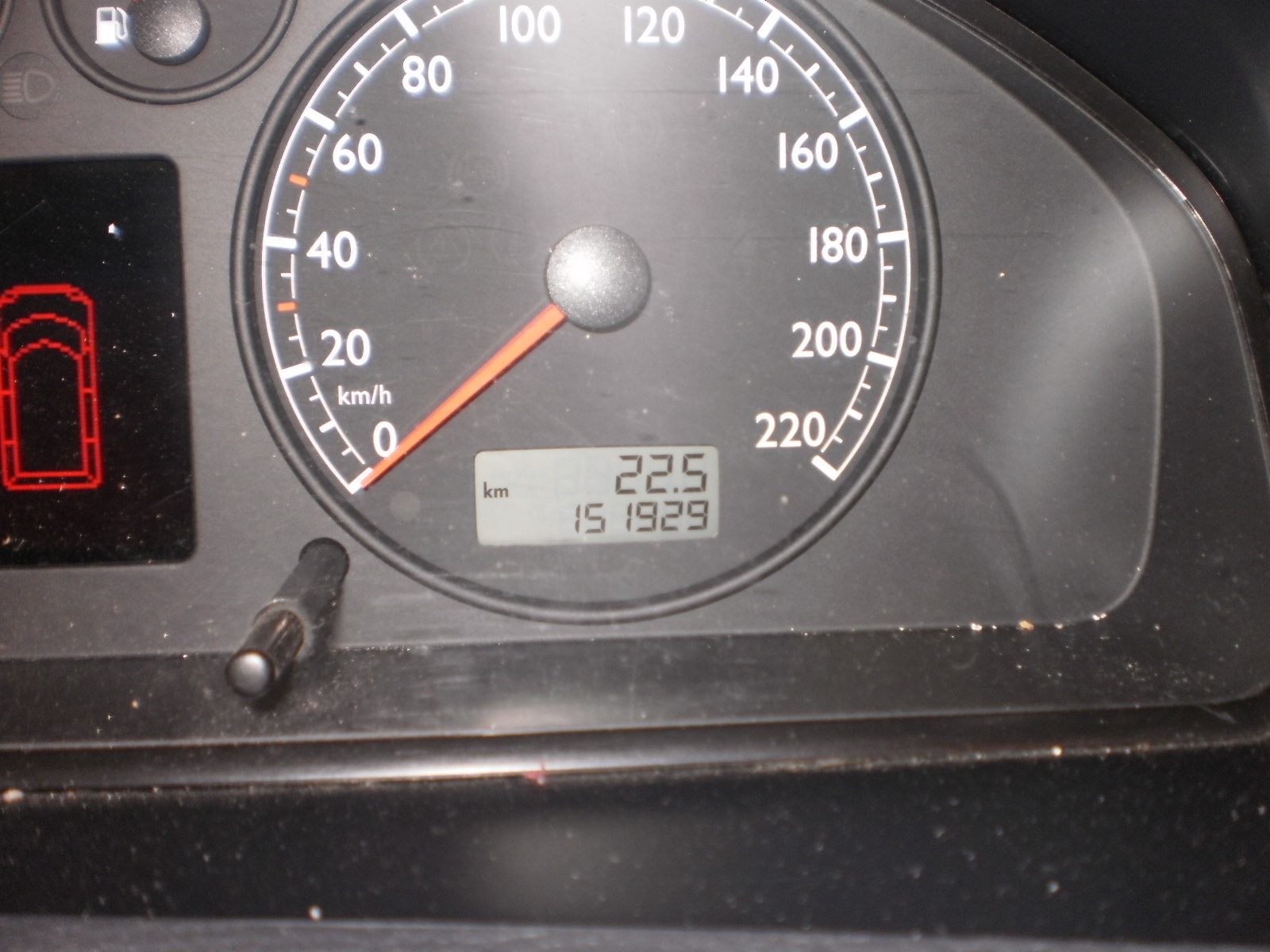
Nedávno se mi na dílnu dostala T5ka Multivan černé barvy motor 1,9 TDI na tachometru byl údaj 151929 km a však skutečný stav počtu najetých kilometrů byl 291480 km.K autu byla dokonce i servisní knížka,která ovšem byla upravena.
Samozřejmě že sedla vstřikovačů v hlavě byla dost vymačkaná,tlaky na válcích byly rozdílné až o 7 barů,což u motoru s počtem 151tisíc kilometrů by nikdy nebylo.Převodovka se opravovala 2x poprvé ve 140 000 km kdy majitel dovezl převodovku na opravu,nutno podotknout že ložiska vykazovala značné opotřebení,teď se opravovala znova a to protože prasklo čtyřkové ozubené soukolí.Abych pravdu řek tak taková závada se jen tak nevidí.Tak že původní majitel vozidla upravil tachometr ale zapomněl a nebo nevěděl že se další údaje o počtu najetých kilometrů ukládají v řídící jednotce motoru.
Přílohy
P1230418.JPG
P1230411.JPG
Specializovaný servis na vozy VW Transporter,Caravelle,Multivan
www.transportercentrum.cz
Tel:736 53 86 86
Uživatelský avatar
tdiracing
 
Příspěvky: 296
Registrován: 19 zář 2011, 21:45
Bydliště: Slaný

Re: Stočené tachometry

Nový příspěvekod Honza-VW » 19 dub 2012, 16:40

Stočené km velká móda v CZ.U každého auta stočený km co jsem měl a u dvou VW také u toho posledního VW T4 tak ty byly vymazány důkladně více méně jsem je našel podle VIN kodu stočeno o nějakých 300tis.km.to je už docela dost.
Celej problém je v tom že s těmi km by byla cena úplně jinde.
Ale asi této módě jen tak nikdo přítrž neudělá je to smutné ale je to tak. :cry:
VW T4 2,5Tdi 190 koníků Caravelle
Mercedes Benz 318 Cdi 180 koní, Sprintér Bóóbika
Nová hračka-Mercedes-Benz Actros 1844 v plné palbě´+ návěs Krone

http://www.autoklub.cz

http://honza-vw.rajce.idnes.cz
Uživatelský avatar
Honza-VW
 
Příspěvky: 214
Registrován: 18 zář 2011, 14:18
Bydliště: Kutná Hora

Re: Stočené tachometry

Nový příspěvekod tdiracing » 19 dub 2012, 22:17

Původní majitel byl KarlosVW
Specializovaný servis na vozy VW Transporter,Caravelle,Multivan
www.transportercentrum.cz
Tel:736 53 86 86
Uživatelský avatar
tdiracing
 
Příspěvky: 296
Registrován: 19 zář 2011, 21:45
Bydliště: Slaný

Re: Stočené tachometry

Nový příspěvekod Honza-VW » 20 dub 2012, 13:23

Káže vodu a pije víno :mrgreen: :mrgreen: :mrgreen:
VW T4 2,5Tdi 190 koníků Caravelle
Mercedes Benz 318 Cdi 180 koní, Sprintér Bóóbika
Nová hračka-Mercedes-Benz Actros 1844 v plné palbě´+ návěs Krone

http://www.autoklub.cz

http://honza-vw.rajce.idnes.cz
Uživatelský avatar
Honza-VW
 
Příspěvky: 214
Registrován: 18 zář 2011, 14:18
Bydliště: Kutná Hora

Re: Stočené tachometry

Nový příspěvekod karlosVW » 23 dub 2012, 17:32

Jojo,už jsem o tom slyšel,ale bohužel k tomu nic říct nemůžu než že já jsem se do stavu kilometrů nevrtal.Nemám ani potřebné vybavení k tomuto a nemám to zaprvé v povaze a za druhé ani zapotřebí,bylo mi vcelku jedno jestli se auto prodá o 30tkč víc nebo méně,navíc s mojí dovýbavou v řádu několika desítek tisíc korun by byla taková nebo maková cena stejně úplně mimo náklady spojené s tím černým autem.Nepatřím mezi ojebávače kšeftující s auty.
Auto jsem kupoval se stavem kolem 70-80tkm,serviska seděla...seděl tak nějak i výpis návštěv v servisu v německu dle záznamů ve VW,tudíž jsem to dále neřešil,podrobnosti se mi trochu vytrácejí...je to už nějaký ten rok zpět.Auto jsem kupoval od dovozce až tady v CZ.Fotky auta z doby cca měsíc před koupí a to včetně stavu tacho mám taky + samo výpis servisní historie z německa. Viděl jsem kdysi také,že naopak si pán nechal na tacho stav km zvýšit,protože ho měnil,tak to doladil do skutečnosti...tudíž se vkrádá otázka zda třeba někdo naschvál tam ten údaj km nenačetl.Je to jen spekulace,ale v CZ je možné vše....hlavně že pak je o čem debatovat a můžete někoho nařknout a pošpinit :lol:
Myslím si že kdybych jako první majitel v TP nebyl napsaný já,tak se to tu ani neřeší. :roll:
karlosVW
 
Příspěvky: 2
Registrován: 23 dub 2012, 17:07

Re: Stočené tachometry

Nový příspěvekod druid22 » 23 dub 2012, 20:01

Zdar
pokud si někdo myslí -že si z germánie přiveze třeba 3letý auto-krásný-najeto xx-tak můžu potvrdit že,5let jsem se nechal v germánii vykořistovat,němec si kupuje třeba- vwt4- s tím že najede min 5OOOO ročně-protože pokud by je nenajel tak si koupí levnější-horší-benzínový-menší- třeba fr.... který stejně po 3letech prodá-provozně ho vyjde stejně-a nebo ještě ušetří
se začátkem míchání kultur-po roce 89 morálka v německu hodně poklesla a naše dovednosti- rusové,turci a poláci dotáhly možná někdy ještě dál než to někteří umí tady-falešný servisky,duplikáty,specialita jsou dvě servisky-do jedné se píše to důležité -do druhé zbytek,toto se děje u aut které se vyloženě po třech letech vyvezou do jiné -východní země-2x se přeprodá už v germánii a poté je -jinak v germánii trestné stáčení tachometrů,,,,čisté,,,,a když už němci začnou něco řešit-cizinec na koho to napsali zmizí na velké rusi a vrátí se klidně z jiným pasem ,jménem, atp.
spíš by mě zajímalo jak to chtějí ty chytráci poslanecký zase,, vyřešit,,to zase bude paskvil-podle mě u nás budou rovnou zavírat ty kdo v tom bude jezdit-něco zjištovat-tady nemá cenu-na 10000%
Uživatelský avatar
druid22
 
Příspěvky: 28
Registrován: 07 led 2012, 20:28

Re: Stočené tachometry

Nový příspěvekod tdiracing » 24 dub 2012, 01:09

karlosVW:Jak sem již psal,tak na vozidle se provedlo několik kontrol ohledně mechanického opotřebení a zda to odpovídá počtu ujetých kilometrů který je udáván na počítadle v přístrojové desce.Majitel se takto rozhodl poté co se dvakrát za sebou vysypala převodovka.Od počátku sem podle opotřebení věděl že nemá převodovka najeto 140 000 km,když se vysypala převodovka podruhé tak se dovezlo celé auto.Prvotní zakázka byla ne na opravu ale na celkový stav opotřebení.Vypracoval sem na to posudek a vše ukazovalo na to že auto nemá 150 tisíc kilometrů ale více,jak sem psal rozdílné tlaky válců a to až o 7 barů,hodně byla vymačkaná hlava od vstřikovačů,atd.
Tvoje otázka zda někdo naschvál nenačetl údaj km aby tě mohl pošpinit a nařknout.Tak vyčíst tento údaj z řj motoru je záležitostí chvilky a zákazník je u toho a to z důvodu aby se předešlo takovýmto výmluvám že to udělali v servisu,dále se dělala kompletní fotodokumentace poškozených mechanických částí motoru a převodovky.Majitel totiž zvažoval podání žaloby.
Píšeš cituji:nemám to zaprvé v povaze a za druhé ani zapotřebí,bylo mi vcelku jedno jestli se auto prodá o 30tkč víc nebo méně.
Nepatřím mezi ojebávače kšeftující s auty.Dovolím si nesouhlasit a to z důvodu:


Není to tak dávno co si o mě psal na foru tc.cz že sem rozvraceč a že sleduji jen svoje finanční zájmy,že jsem byl smáznut pro své pruzení na forech zabývající se VW busama,že sem zkušenosti s transportery nasbíral v německu když sem je tam krad a rozebíral a taky že sem si to tam odseděl.
Napsal si veřejně výmysly jen aby si mi uškodil,vůbec tě nezajímalo jaký to může mít dopad pro mě a moji rodinu,sledoval si jen svůj zájem.Na tomto foru si se hned ze začátku zaregistroval jen proto aby si tu škodil a prudil,jen ti připomenu že si to sám napsal do sz JaMovi a opět si sledoval jen svůj záměr a to tu škodit,píšeš že jsme lumpové atd http://www.transporterclub.eu/viewtopic ... 0&start=25
Specializovaný servis na vozy VW Transporter,Caravelle,Multivan
www.transportercentrum.cz
Tel:736 53 86 86
Uživatelský avatar
tdiracing
 
Příspěvky: 296
Registrován: 19 zář 2011, 21:45
Bydliště: Slaný

Re: Stočené tachometry

Nový příspěvekod karlosVW » 24 dub 2012, 08:48

mno vidíš..a už je to zase tam kde dřív.Zase mícháš hrušky s jabkama.Je to takový tvůj oblíbený sport.O psaní na Tclubu.cz máš pravdu opět jen částečně,ale to o finančních zájmech a rozvracení si myslím sedělo.Je vidět jak dobře jsi se na vše připravoval a jaký účel jsi tenkrát sledoval,vše ukládal...Zbytek bych si dovolil popřít...i když ty souhlasit nebudeš.
S žalobou současného majitele mojí bývalé T5tky mě nepřekvapíš,samozřejmě že jsem o tom věděl od kluka,kterému jsem jí já prodával.Říkal jsem mu at dá kontakt "poškozenému" na mě..aby mi zavolal,což bych zřejmě neudělal kdybych neměl čisté svědomí.Současný majitel mě nekontaktoval,kdyby ano,vysvětlil bych mu jakou zášť vůči mě máš a proč tomu tak je.
Poškození dílů motoru a převodovky může mít i jiné příčiny než množství ujetých kilometrů...třeba přetěžování,používání nesprávných provozních kapalin,nedostatek provozních kapalin atd. Navíc motor 1,9TDI + 5st. převodovka v T5tkách nemají sami o sobě moc dobré reference na spolehlivost.
Co se týká fotodokumentace,tu může pro potřebu soudu dělat jen pověřený servis...ne jakýkoliv servis.Bůhví co jsi fotil a bůhví jak to bylo.Některým lidem nevěřím ani nos mezi očima,natož vyprodukované slohové práce.Ber to jako komentář k tomu co píšeš,aby něco nezůstalo bez odpovědi...nikoliv jako pokus o moji obranu,nemám to zapotřebí...není důvod.
karlosVW
 
Příspěvky: 2
Registrován: 23 dub 2012, 17:07


Zpět na Vše okolo auta

Kdo je online

Uživatelé procházející toto fórum: Žádní registrovaní uživatelé a 9 návštevníků